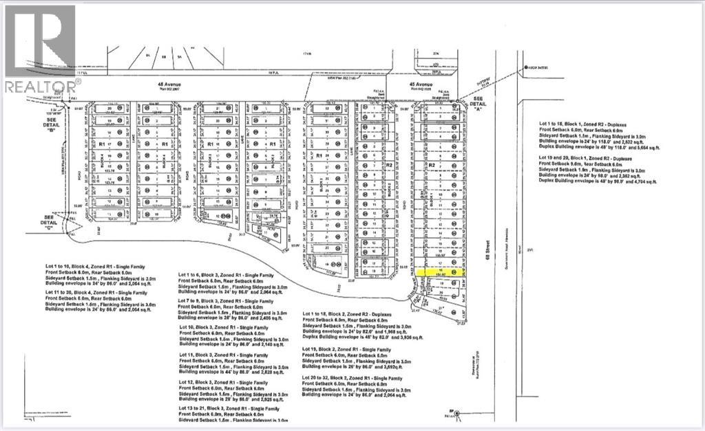
4407 69 Street, Camrose Camrose, Alberta, T4V2P7
Listing Price
$158,900
land
0 beds
0 baths
0 sqft
Property Details
Property Type
land
Lot Size
4740 square feet
Lot Dimensions
4740.00
Annual Taxes
$922 (2025)
Subdivision
West Park
MLS Number
A2016621
Listed Date
Jan 21, 2023
Days on Market
1188
Zoning Description
R2
Region / Community
West Park
Parcel Number
0040322778
Tours & Floorplans
Property Photo
4407 69 Street - media 1
Property Photo
4407 69 Street - media 2
Property Photo
4407 69 Street - media 3
Property Photo
4407 69 Street - media 4
Property Photo
4407 69 Street - media 5
Property Photo
4407 69 Street - media 6
Property Photo
4407 69 Street - media 7
Property Photo
4407 69 Street - media 8
Property Photo
4407 69 Street - media 9
Description
Welcome to West Park's newest development....Lakeside!!! This development is situated close to shopping and dining. You can access the walking path along the lake and build your own home! Don't miss out on an amazing opportunity in 2026. (id:63190)
Location
4407 69 Street, Camrose, Alberta, T4V2P7
Loading map…
