1301 12 Avenue, Coaldale Coaldale, Alberta, T1M0G6
Listing Price
$2,244,000
land
0 beds
0 baths
0 sqft
Property Details
Property Type
land
Lot Size
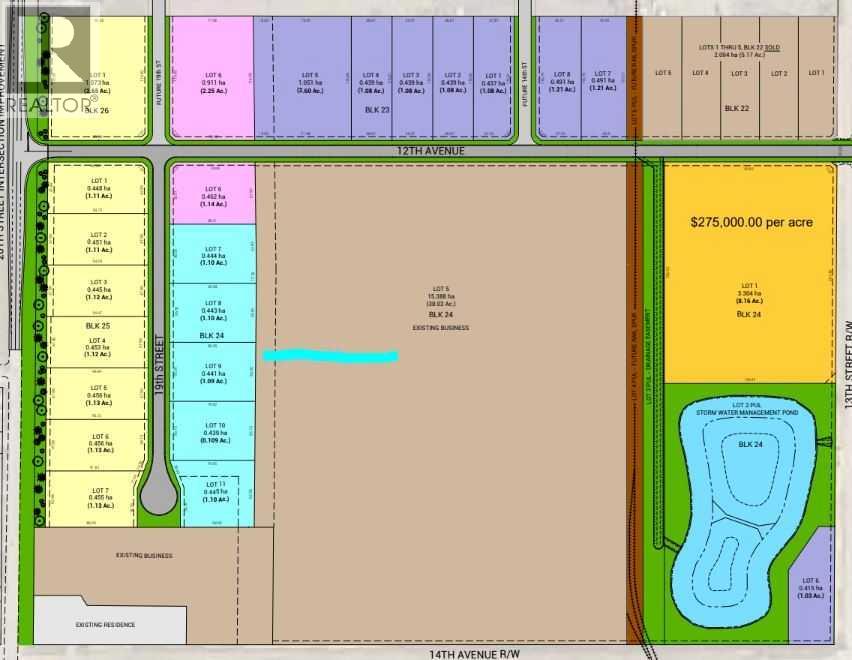
8.16 acres
Lot Dimensions
8.16
MLS Number
A2191977
Listed Date
Feb 4, 2025
Days on Market
443
Zoning Description
I - Industry
Parcel Number
0039772554
Description
Position your business for success with this 8.16 (+/-) acre Industry -zoned lot, located within Coaldale’s expanding industrial corridor. Situated in the 845 Development Industrial Subdivision, this prime commercial opportunity offers flexible lot sizes ranging from 1 to 8 acres, providing scalable solutions for a variety of commercial and industrial operations.The development features direct access from Highway 845, a highly traveled route in the area that connects to Alberta Highway 3 which is a major transportation passageway for logistics, material transport, and industrial supply chains. This strategic location enhances connectivity and accessibility for businesses requiring efficient transportation solutions.Over the past few years, Coaldale has evolved into a business hub with an impressive growth rate, supported by numerous commercial ventures. One of the most significant developments is the NewCold facility project, which is attracting more industry to the community. Coaldale also benefits from the new Malloy Landing residential subdivision, the state-of-the-art Shift Community Recreation Centre, and a growing number of commercial and industrial enterprises.With cost-effective commercial & industrial land, a competitive commercial property tax rate, and attractive incentives , Coaldale presents a compelling opportunity for business relocation, expansion, and investment. Secure your position in this high-growth market today. (id:63190)
Location
1301 12 Avenue, Coaldale, Alberta, T1M0G6
Loading map…
