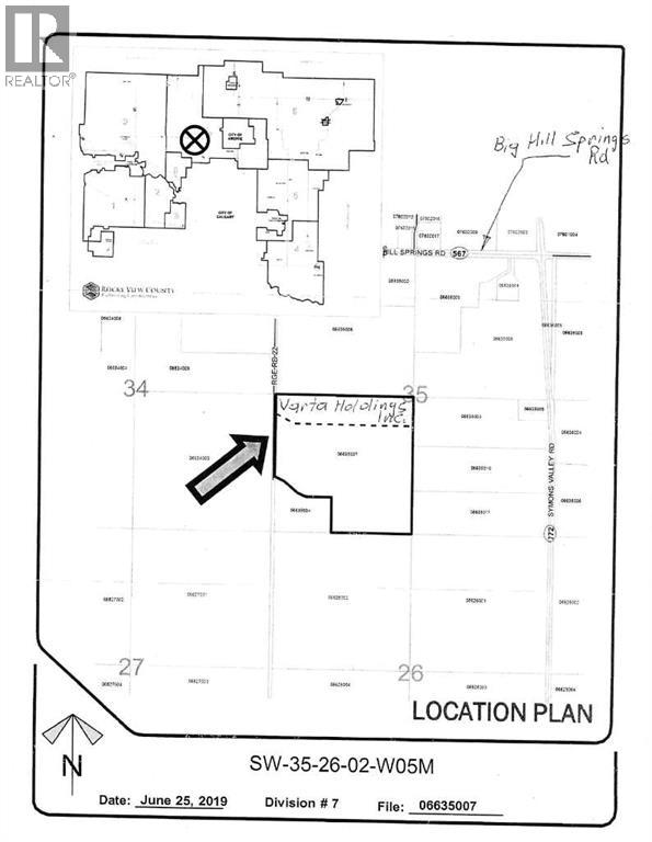
RR292 Symon's Valley Road, Rural Rocky View County Rural Rocky View County, Alberta, T0M0S0
Listing Price
$890,000
land
0 beds
0 baths
0 sqft
Property Details
Property Type
land
Lot Size
33.01 acres
Lot Dimensions
33.01
Annual Taxes
$66 (2024)
MLS Number
A2224312
Listed Date
May 26, 2025
Days on Market
332
Zoning Description
R-Rur/A-SmL
Parcel Number
0039008248
Description
33 Acres suitable for building your dream home. Mountain View from the property. Electricity located at approach to property. Land is presently leased out. Listing offers sale of the Corporation, land is in Corporation Name, just need to change directors, but can be purchased without corporation. Rezoning needs to be done through the municipality of Rockyview. (id:63190)
Utilities & Infrastructure
Water Source
Well
Location
RR292 Symon's Valley Road, Rural Rocky View County, Alberta, T0M0S0
Loading map…
