4535 51 Avenue, Olds Olds, Alberta, T4H1J1
Listing Price
$677,500
land
0 beds
0 baths
0 sqft
Property Details
Property Type
land
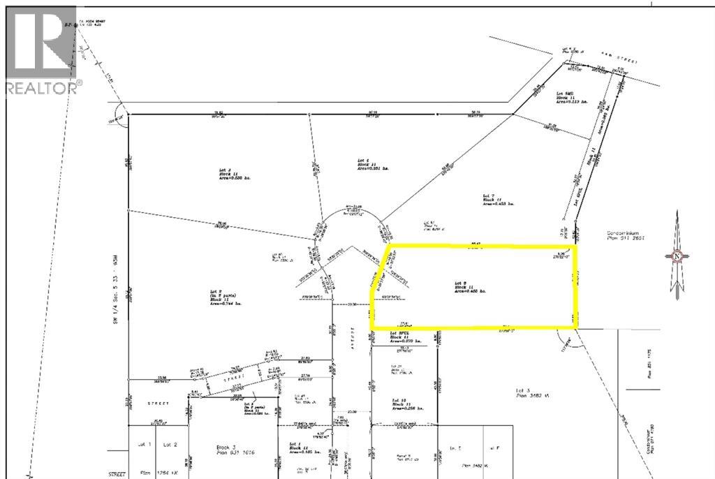
Lot Size
1.05 acres
Lot Dimensions
1.05
Annual Taxes
$4,937 (2025)
MLS Number
A2270367
Listed Date
Nov 12, 2025
Days on Market
162
Zoning Description
CGD
Parcel Number
0037741957
Description
Looking for an investment or business opportunity? Here is a potential RETAIL DEVELOPMENT SITE in the fast-growing community of Olds, Alberta. Olds is centrally located between Calgary and Red Deer and serves many of the surrounding communities as well as Mountain View County. This property features a great central location in a new developing area, approx. 1.05 acres, fully serviced site. Benefits include no business tax, lower lot price than surrounding cities, high traffic area, close to shops and restaurants, easy access to all the amenities provided in the Town of Olds, close proximity to nearby recreational areas and minutes off major highway QE2. See brochure for further information. Note: Adjacent lots also available for sale. (id:63190)
Features & Amenities
Lot
See remarks
Location
4535 51 Avenue, Olds, Alberta, T4H1J1
Loading map…
