5202 5402 50 ST, Cynthia Cynthia, Alberta, T0E0K0
Listing Price
$89,000
land
0 beds
0 baths
0 sqft
Property Details
Property Type
land
Lot Size
2.46 square meters
Lot Dimensions
2.46
MLS Number
E4466915
Listed Date
Nov 28, 2025
Days on Market
146
Region / Community
Cynthia
Parcel Number
ZZ999999999
Description
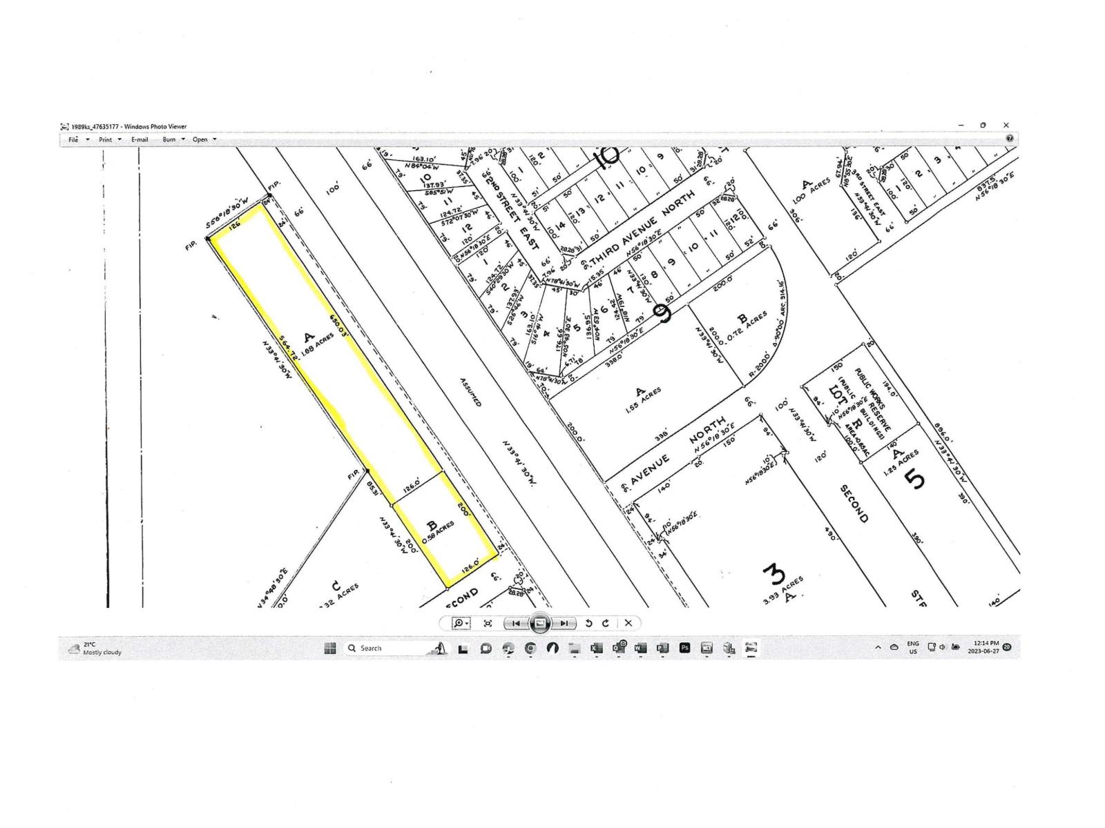
2 Lots for sale for $89,000.00. Take advantage of the Highway frontage. Lot A is 1.88 acres and Lot B is .58 acres. The lots are being sold together but each one does have its title. The two lots are side by side and directly across the Highway from the hamlet of Cynthia. Currently it is zoned for Urban Reserve. Lot A is 126 FT wide by width of 650 ft of frontage. Lot B is 126 FT wide by 200 FT. Long. Lot A Linc number is 0020112710 short legal 1989KS;17; A Title is 232149380 +1 Lot B Linc number is 0020081626 short legal 1989KS; 17; B title is 232149380 (id:63190)
Features & Amenities
Lot
No back lane
Location
5202 5402 50 ST, Cynthia, Alberta, T0E0K0
Loading map…
