1 highway 1, Strathmore Strathmore, Alberta, T1P1K1
Listing Price
$1,950,000
commercial
0 beds
0 baths
0 sqft
Property Details
Property Type
commercial
Annual Taxes
$61 (2023)
MLS Number
A2281170
Listed Date
Jan 23, 2026
Days on Market
90
Zoning Description
H-CWY
Parcel Number
0039048955
Tours & Floorplans
Property Photo
1 highway 1 - media 1
Property Photo
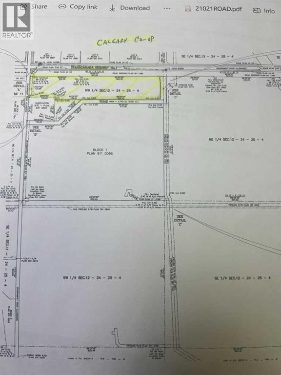
plan showing boundary
Property Photo
1 highway 1 - media 3
Property Photo
1 highway 1 - media 4
Property Photo
1 highway 1 - media 5
Property Photo
1 highway 1 - media 6
Property Photo
1 highway 1 - media 7
Property Photo
1 highway 1 - media 8
Property Photo
1 highway 1 - media 9
Property Photo
1 highway 1 - media 10
Property Photo
1 highway 1 - media 11
Property Photo
1 highway 1 - media 12
Property Photo
1 highway 1 - media 13
Description
LOCATION....LOCATION......this property borders Highway #1 on east side of Strathmore.......28 acres m/l..... zoned Highway Commercial with 1/2 mile of Highway Frontage...!!! and all within the Town Limits!!! (id:63190)
Location
1 highway 1, Strathmore, Alberta, T1P1K1
Loading map…
