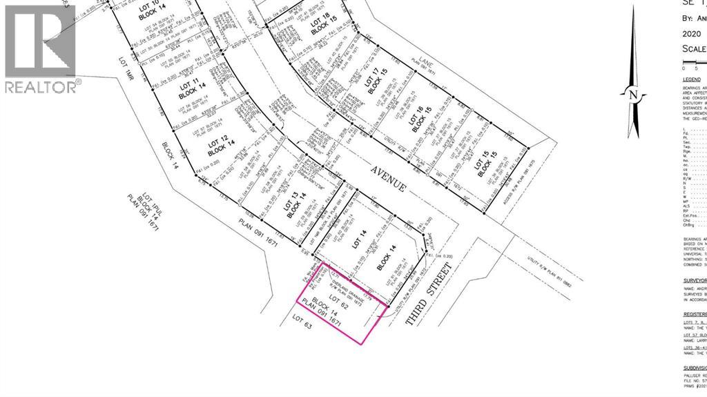
309 3 Street W, Standard Standard, Alberta, T0J3G0
Listing Price
$30,000
land
0 beds
0 baths
0 sqft
Property Details
Property Type
land
Lot Size
558.9 square meters
Lot Dimensions
558.90
Annual Taxes
$354.19 (2025)
MLS Number
A2296812
Listed Date
Mar 27, 2026
Days on Market
27
Zoning Description
R-1
Parcel Number
0033832189
Description
Step out of the noise and into something better.This is small-town living the way people wish it still was. Neighbours know your name. And life finally slows down just enough to enjoy it.Set in a fully serviced subdivision, this is a rare opportunity to build in a community that still feels connected. Where kids can play hockey at the local arena, and dad can hit beer league with his buddies after work. It is simple. It is real. It is home.All utilities are already to the lot, including sewer, water, gas, and electricity. Paved sidewalks and street lighting are in place, making this development truly ready to go.Located just minutes from a K-12 school and local amenities, and only a 25-minute drive to Strathmore for everything else you need.Building Guidelines:Construction must commence within 1 year of purchase, reach lock-up stage within the following year, and be fully completed within 3 years. Extensions are on a as per basis.Whether you are building your dream home or looking for your next smart investment, this is your chance to secure serviced land in a quiet, established Alberta community. (id:63190)
Location
309 3 Street W, Standard, Alberta, T0J3G0
Loading map…
